熱販売 パソコン接続配線+専用USB+CD-ROM付き LITEお肌診断機器 A-One A-One 肌 パソコン接続配線+専用USB+CD-ROM付き LITEお肌診断機器 ボディ・フェイスケア
(3386件)
Pontaパス特典
サンキュー配送
66240円(税込)
663ポイント(1%)
Pontaパス会員ならさらに+1%ポイント還元!
送料
(
)
3382
配送情報
お届け予定日:2026.04.13 7:55までにお届け
※一部地域・離島につきましては、表示のお届け予定日期間内にお届けできない場合があります。
ロットナンバー
96722252502
お買い物の前にチェック!
Pontaパス会員なら
ポイント+1%
ポイント+1%
商品説明
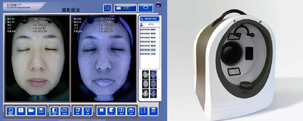
★購入時定価40万税抜き現在は70万税抜きになってるそうです★商品名肌診断機器★型番A-ONE Lite ver.2.20★詳細ホームサイトにてご参照ください。★ワンクリック自動顔面測定システム★一回のクリックで自動測定ができる便利なシステム★一般、UVの2つのイメージを撮影★高解像度カメラとEMセンサーが肌の4つの項目を測定★測定項目 :毛穴、油分、しわ、色素沈着目・鼻・口・眉を自動で認識Uソーン、Tゾーンを自動で区分して測定★付属品本体 パソコンと接続の配線 A-One LITE専用USB取扱説明書は、ありません肌年齢も出ます。撮った写真が残るのでビフォーアフターで見れるのも良いです今年メーカーにメンテナンスに出しました問題なく動きます。| カテゴリー: | コスメ・美容>>>ボディ・フェイスケア>>>その他 |
|---|---|
| 商品の状態: | やや傷や汚れあり","目につく傷や汚れがある |
| 配送料の負担: | 送料込み(出品者負担) |
| 配送の方法: | 佐川急便/日本郵便 |
| 発送元の地域: | 兵庫県 |
| 発送までの日数: | 1~2日で発送 |
レビュー
商品の評価:




4.5点(3386件)
- M118316
- 期待以上の静音性とリアルな走行感が楽しめて最高です。 ちょっと高い買い物でしたが満足しています。
- GOIGOISU
- エリートからの買い替えです 集合住宅の2階ですが以前の物より静かです
- ふたば523
- ミノウラ製品は、全て良い製品なので選択に迷いましたがとりあえずお手頃商品にしました。(笑) まだ、届いていませんが良いのは既に分かっているので楽しみです。
- たんちゃん1118
- だいたい週に2回から3回ぐらいトレーニングに利用しています。重さの段階を手元リモコンで調整できるのですが、ロードレーサーなどの変速気がついている自転車でトレーニングする場合は必要ないかもしれませんね、ギアを選べば良いので。作りはすごくしっかりしていて、自転車をキチンと固定できるしとても良いですよ。これ使ってトレーニングしているお陰で少し脚力が上がったように思えます。以前は倶楽部の方々が本気出すと全然ついて行けなかったのですが、最近は大分食い付いていけるようになり、倶楽部の方々からも”速くなったね?”と言われます。何とか1万円台後半まで価格が落ちればもっとコストパフォーマンスに優れた製品になると思うのですけどね。
- りんごちゃん5522
- 先月に初めてロードバイクを購入しました。最初、自宅前の公園で試し乗りを いたところ、ママちゃりとは次元の違いにびっくり、公道デビューに自信喪失 まずは屋内で練習をとローラー台を早速購入しました。作りもしっかりしていて 安心感があります。製品には満足です。これでしっかり練習して行動デビュー。 211362-20130528-0932167139
- めめ1228
- まだ数回しか使ってないですが、とても良かったです。他のを使ったとこがないので比較できませんが、音もそれなりに静かです。これにして良かったです。
すべて見る
お店の情報
7,367
連絡・応対
4.3
配送スピード
4.3
梱包
4.3










